
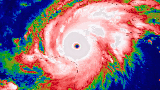
It is only mid-August, and several major tropical storms and hurricanes have already hit different parts of the United States. In fact, we’ve already set a record for the highest number of named storms occurring by early August (nine). While there’s been some action in the usual spots in the southeast, the northern…
Source: LifeHacker – What to Know About Storm Terminology Before the Next Big One Hits