
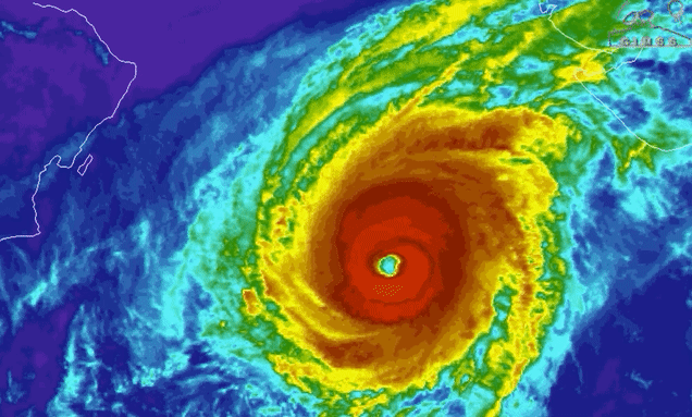
The northern hemisphere’s quietest tropical cyclone basin is currently going off. Cyclone Kyarr formed on Thursday and quickly spun up in the Indian Ocean into the most powerful storm on the planet. While the storm won’t have a huge impact on land, it’s already making its present felt in the record books in what’s…
Source: Gizmodo – Cyclone Kyarr, the Strongest Storm on Earth, Is Breaking All Sorts of Records