
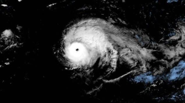
Hurricane Lorenzo has set records as it blasts its way through the central Atlantic, becoming a category 5 hurricane on Saturday night before weakening back down to category 3 status by Sunday evening, CNN reported.
Source: Gizmodo – Hurricane Lorenzo Sets Record as Strongest Storm Observed So Far North and East in Atlantic