
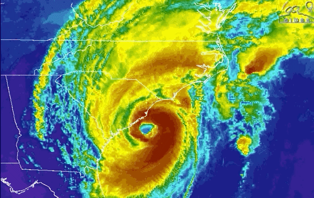
In response to Hurricane Dorian arriving in the South, the Environmental Protection Agency (EPA) has begun to temporarily shutdown operations at some of the region’s most toxic facilities.
Source: Gizmodo – The EPA Is Pausing Operations at Toxic Sites as Hurricane Dorian Lashes the Southeast