
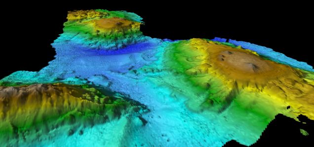
Australian scientists have discovered a previously unknown chain of volcanic seamounts near Tasmania. The area appears to be brimming with marine life, including a surprising number of whales who may be using the undersea volcanoes as a navigational tool.
Source: Gizmodo – Newly Discovered Volcanic ‘Lost World’ Is a Haven for Marine Life